INCOME-GENERATING 5 UNIT APARTMENT FOR SALE in Banilad, Cebu City
Income-generating 5 unit Apartment in Banilad, Cebu City offers a strong investment with steady cash flow. It sits in a prime location near schools, malls, and business centers, so tenants easily choose to stay. Each unit attracts renters quickly because of its accessibility and convenience.
Income-generating 5 unit Apartment gives investors reliable monthly income from day one. It keeps occupancy high due to strong rental demand in Banilad. Owners enjoy stable returns while the property continues to grow in value over time.
PROPERTY DETAILS:
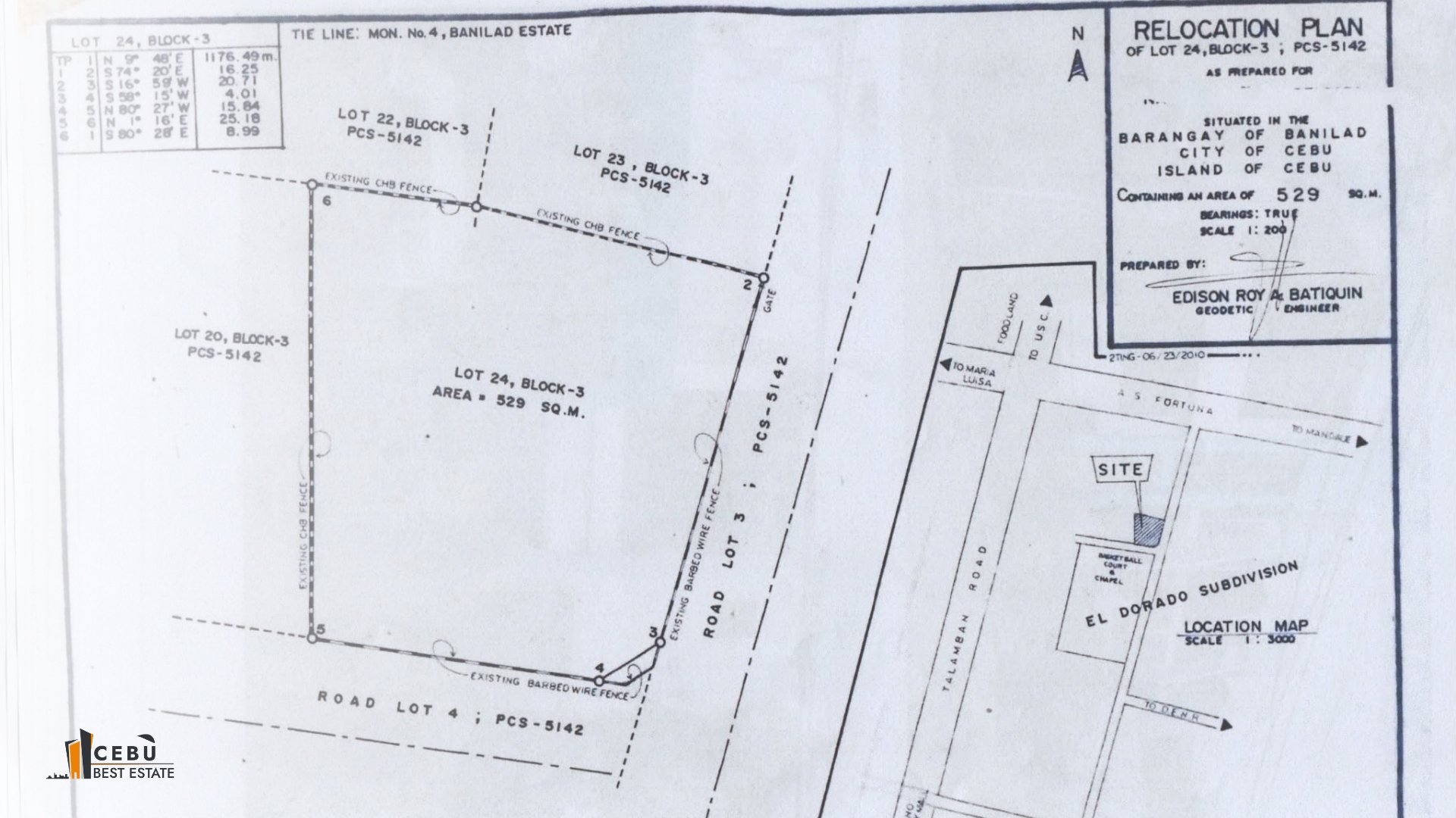
- Location: Banilad, Cebu City (El Dorado Subdivision)
- Lot Area: 529 sqm
- Type: Residential Lot with 5 unit Apartment
- Title Status: Complete & Clean title
- Total Price: ₱60 Million (negotiable)
- Estimated Monthly Income: ₱150,000.00 (more or less) As of December 2025
- Tax Updated✅
LOCATION AND ACCESSIBILITY:
- A walking distance to Department of Environment and Natural Resources (DENR)
- 2 minutes drive to Banilad Town Centre
- 2 minutes drive to Gaisano Country Mall
- 3 minutes drive to University of Cebu – Banilad Campus
- 7 minutes drive to Ayala Central Bloc
- 9 minutes drive to Cebu IT Park
- 10 minutes drive to Oakdridge Business Park
- 10 minutes drive to University of San Carlos – Talamban Campus
- 11 minutes drive to Cebu Business Park
- 12 minutes drive to Waterfront Cebu Hotel & Casino
WHY BUY THIS PROPERTY?
- Prime location in Banilad, Cebu City, one of the most in-demand residential and commercial areas
- Immediate rental income from a fully functional 5-unit apartment setup
- Strong tenant demand due to proximity to schools, malls, hospitals, and business hubs
- High occupancy potential, reducing vacancy risks and ensuring steady cash flow
- Excellent capital appreciation as Banilad continues to grow and develop
- Multiple income streams from one property investment
- Ideal for both first-time and seasoned real estate investors
- Low-risk, income-generating asset in a highly urbanized location
- A smart long-term investment that builds wealth while generating passive income
ꜰᴏʀ ꜱɪᴛᴇ ᴛᴏᴜʀ, ʀᴇꜱᴇʀᴠᴀᴛɪᴏɴ, ᴀɴᴅ ᴍᴏʀᴇ ᴅᴇᴛᴀɪʟꜱ, ᴄᴏɴᴛᴀᴄᴛ:
☎ 0943-040-5078
☎ 0968-856-4171
𝘿𝙔𝘼𝙉 𝙇. 𝙈𝘼𝙍𝘼𝙊𝙉
ᴀᴄᴄʀᴇᴅɪᴛᴇᴅ ʀᴇ ꜱᴀʟᴇꜱᴘᴇʀꜱᴏɴ
ᴘʀᴄ ᴀᴄᴄʀᴇᴅɪᴛᴀᴛɪᴏɴ # 13442
ᴅʜꜱᴜᴅ ᴄᴏʀ ɴᴏ. ʀ7-ᴀ-01/21-0924
| ᴠᴀʟɪᴅ ᴜɴᴛɪʟ ᴅᴇᴄᴇᴍʙᴇʀ 31, 2025
ᴜɴᴅᴇʀ ᴛʜᴇ ꜱᴜᴘᴇʀᴠɪꜱɪᴏɴ ᴏꜰ ᴊᴏɴᴀᴛʜᴀɴ ᴍ. ᴍᴀʀᴀᴏɴ, ʀᴇʙ
ᴘʀᴄ ʟɪᴄ. # 0023648
ᴅʜꜱᴜᴅ ᴄᴏʀ # ᴄᴠʀꜰᴏ-ʙ-12/17-2267


